"Mediastinales Lymphom" – Chemotherapie als Mittel der Wahl bei Bardino „Gino“

Der knapp 8-jährige Gino wurde wegen reduziertem Allgemeinbefinden und starkem Durst in unserer Praxis vorgestellt. Eine gesteigerte Wasseraufnahme kann sehr viele Ursachen haben. Der Tierarzt denkt zunächst u.a. an einer Diabetes, an Nierenfunktionsstörungen oder bei Hündinnen an eine Gebärmutterentzündung. Um der Ursache auf die Spur zu kommen, wurden zunächst Blut und Urin untersucht. In der Blutuntersuchung fiel neben leicht erhöhten Leberwerten ein erhöhter Calciumspiegel auf. Calcium liegt im Blut in drei Bindungsformen vor, wovon aber nur das ionisierte Calcium auch biologisch aktiv ist. Daher wurde auch dieser Wert in einem Speziallabor bestimmt. Dieser war ebenfalls erhöht. Dies kann auf extrem seltene Erkrankungen der Nebenschilddrüsen oder auf Tumoren hindeuten. Da erstere sehr selten sind, begaben wir uns direkt auf die Suche nach einem Tumor. Tumorarten, bei denen eine Erhöhung des Calciums gesehen wird, sind vor allem  Analbeutel-Karzinome und Maligne Lymphome.

Der Befund: „Malignes Lymphom“

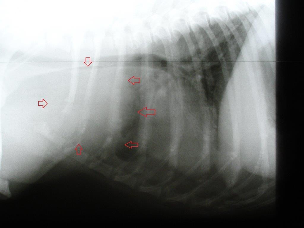
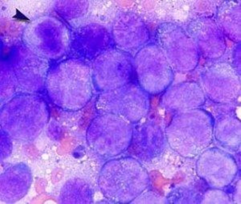
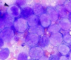
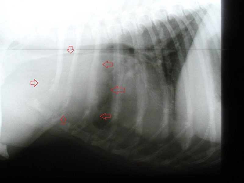
Die Analdrüsen und die äußerlich tastbaren Lymphknoten waren unauffällig. Daraufhin wurden Röntgenaufnahmen von Brust- und Bauchraum angefertigt. Im Brustkorb befand sich vor dem Herzen eine tennisballgroße Zubildung. Zur Diagnosestellung wurde dieser Tumor unter Ultraschallkontrolle mit einer Spritze punktiert und Zellmaterial gewonnen. Dieses Feinnadelaspirat wurde zu einem spezialisierten Tierpathologen geschickt. Der Befund: „Malignes Lymphom“. Das maligne Lymphom kann in einen B- und T-Zell-Typ eingeteilt werden, je nachdem welche Lymphozytenfraktion betroffen ist. In diesem Fall war es das schwieriger zu therapierende T-Zell-Lymphom. Die Ultraschalluntersuchung des Bauchraumes zeigte keine Veränderungen im Bereich von Leber, Milz und den anderen Lymphknoten des Bauches.

Was versteht man unter dem "Malignen Lymphom"? 

Das maligne Lymphom ist ein bösartiger Tumor ausgehend von den Lymphozyten, einer bestimmten Sorte der weißen Blutkörperchen. Diese finden sich vor allem in den Lymphknoten, der Leber und der Milz. In selteneren Fällen können Tumorzellen das Knochenmark, die Haut, Nieren oder den Magen-/Darmtrakt sowie die Lunge befallen. Eine auslösende Ursache für diesen Tumor ist nicht bekannt, jedoch sind häufiger große Hunderassen betroffen. 

Anhand der anatomischen Lokalisation unterscheidet man verschiedene Formen:
- 1) Multizentrisches Lymphom. Hierbei sind alle äußerlich tastbaren Lymphknoten vergrößert, z.B. an der Kehle, an der Schulter oder in der Kniekehle.
- 2) Gastrointestinales Lymphom. Hierbei ist der Verdauungstrakt involviert.
- 3) Mediastinales Lymphom. Die Lymphknoten im Brustkorb oder der Thymus sind betroffen.
- 4) Kutanes Lymphom. Hier ist die Haut als Organ befallen.
- 5) Extranodales Lymphom. Hier betrifft der Tumor keine spezielle Lymphknotengruppe, sondern tritt unabhängig von Lymphknoten an unterschiedlichen Körperstellen auf.

In Ginos Fall handelte es sich also um ein mediastinales T-Zell-Lymphom. Da sich ein solcher Tumor über die Blutbahn im gesamten Körper ausbreitet, ist eine chirurgische Entfernung des gesamten Tumors nicht möglich. Die Therapie der Wahl ist eine Chemotherapie. Durch eine Chemotherapie werden die schnell wachsenden Tumorzellen effektiv abgetötet und zurückgedrängt. Wenn man als Tierarzt das Wort "Chemotherapie" ausspricht, schaut man meist in entsetzte Augen und erntet oftmals sofort ein Nein. Warum ist das so? Die Chemotherapie ist emotional sehr negativ besetzt, denn es gibt wohl kaum einen Menschen, der nicht schon mal in Kontakt zu jemanden getreten ist, der diese Prozedur durchmachen musste. Fast alle Menschen leiden in dieser Phase unter mehr oder weniger starken Nebenwirkungen. Diese Tortur möchte man natürlich in keinem Fall seinem geliebten Hund zumuten. Das ist auch keinesfalls in tierärztlichem Sinne, und daher verfolgt die Chemotherapie beim Hund einen anderen Ansatz als in der Humanmedizin. Beim Menschen hat ganz klar die Heilung des Patienten oberste Priorität. Bei unseren tierischen Patienten ist das Ziel aber ein anderes. Unsere Priorität liegt in einer Lebensverlängerung bei guter Lebensqualität und minimalen Nebenwirkungen. Die betroffenen Hunde sollen ihr Leben weiterhin genießen können. Dafür nehmen wir in Kauf, dass nicht zwingend eine Heilung eintritt.

Die Chemotherapie bei Gino erfolgt in Zyklen, in denen verschiedene Medikamente im wöchentlichen Wechsel eingesetzt wurden. Alle Medikamente greifen in der Zellteilung ein, allerdings an verschiedenen Angriffspunkten. Eine Kombination verschiedener Medikamente erhöht das Ansprechen auf die Therapie und verringert die Gefahr von unerwünschten Wirkungen, weil man mit geringeren Dosen arbeiten kann. Das in unserer Praxis üblicherweise verwendete Protokoll umfasst vier Zyklen à fünf Wochen. In der 1., 3. und 4. Woche erfolgt die Chemo per Injektion, bzw. Infusion. Vor der Gabe wird immer zuerst das Blutbild kontrolliert, da es sein kann, dass die Zahl der weißen Blutkörperchen zu niedrig ist. Sollte dies der Fall sein, so wird die Chemo um einige Tage verschoben bis sich die Zellen regeneriert haben. In der 2. Woche erfolgt die Chemo über Tabletten und wird vom Halter selbst verabreicht. Woche 5 ist jeweils therapiefrei. Ist der Tumor in dieser Zeit verschwunden, bzw. in Remission gegangen, so wird die Therapie nach diesen vier Zyklen gestoppt. 

Bei Gino verschwand der erhöhte Durst bereits nach der ersten Medikamentengabe. Er wurde zusehends wieder fitter. Gelegentlich hatte er ein oder zwei Tage nach einer Chemo etwas weniger Appetit oder auch mal etwas Durchfall. Diese Beschwerden ließen sich aber durch die bereits im Vorfeld für das Eintreten solcher Fälle abgegebenen Medikamente gut bekämpfen. Der Tumor verschwand unter der Therapie vollständig. Nach 20 Wochen wurde die Therapie eingestellt. Leider kam der Tumor drei Monate später zurück. Die Symptomatik und Laborbefunde deckten sich mit denen vom Beginn der Erkrankung. Die Chemotherapie wurde nach dem gleichen Protokoll wieder gestartet. Nach dem 2. Zyklus verschlechterte sich sein Allgemeinzustand und die Ultraschalluntersuchung zeigte, dass der Tumor sich trotz der Therapie nun auch auf die Milz ausgebreitet hatte. Die Möglichkeit eines sogenannten Rescue-Protokolls mit einer Umstellung der Medikation auf bisher nicht verabreichte Chemotherapeutika wurde von der Besitzerin aufgrund der nun schlechten Prognose nicht mehr gewünscht. Gino wurde etwa ein Jahr nach Diagnosestellung eingeschläfert.

Etwa 95% der Patienten sprechen auf die Therapie an.

Wie die Überlebenszeit eines Patienten mit Lymphom sein wird, kann man zu Beginn der Therapie nicht vorhersagen. Was man aber relativ sicher sagen kann, dass unbehandelte oder lediglich mit Cortison behandelte Patienten meist nur eine Lebenserwartung von 4-6 Wochen haben. Bei den mit Chemotherapie behandelten Patienten ist die Prognose für den größten Teil der Patienten wesentlich besser. Etwa 95% der Patienten sprechen auf die Therapie an und eine Remission des Tumors erfolgt bereits nach 1-2 Medikamentengaben (sprich innerhalb von 1-2 Wochen). Bei einem Teil der Patienten kehrt der Tumor bereits unter der Therapie zurück, oder sie sprechen gar nicht an. 60% der Patienten leben ein Jahr, 40% anderthalb Jahre und 25-30% leben auch noch nach zwei Jahren. Bei den Patienten, die darüber hinaus noch leben, ist die Wahrscheinlichkeit groß, dass der Tumor zu Lebzeiten nicht mehr auftritt. Somit geht der Tumor bei ca. 20% in eine langfristige Remission. Die Patienten sind "geheilt“. 

Vereinfacht gesagt, ist es realistisch, mit der Chemotherapie das Hundeleben um ein Zwölftel bzw. ein Sechstel, bezogen auf eine durchschnittliche Lebenserwartung von 12 Jahren, zu verlängern. Für ein Hundeleben schon eine recht lange Zeit.