Goldimplantation - "Bonnie hat chronische Gelenkschmerzen"

Im Herbst letzten Jahres wurde uns die 9-jährige Labrador-Retriever-Hündin Bonnie wegen einer Lahmheit vorne rechts vorgestellt. Den Besitzern fiel schon länger auf, dass Bonnie beim Laufen den Rücken steif hielt und beim Spaziergang vor Anstrengung kurzatmig war. Bonnie wurde bereits vom Haustierarzt wegen der Lahmheit vorne rechts untersucht, der eine Arthrose am rechten Ellbogen diagnostizierte. Es wurde vorgeschlagen, den Ellbogen zu operieren. Künstliche Gelenkimplantate wurden angesprochen.

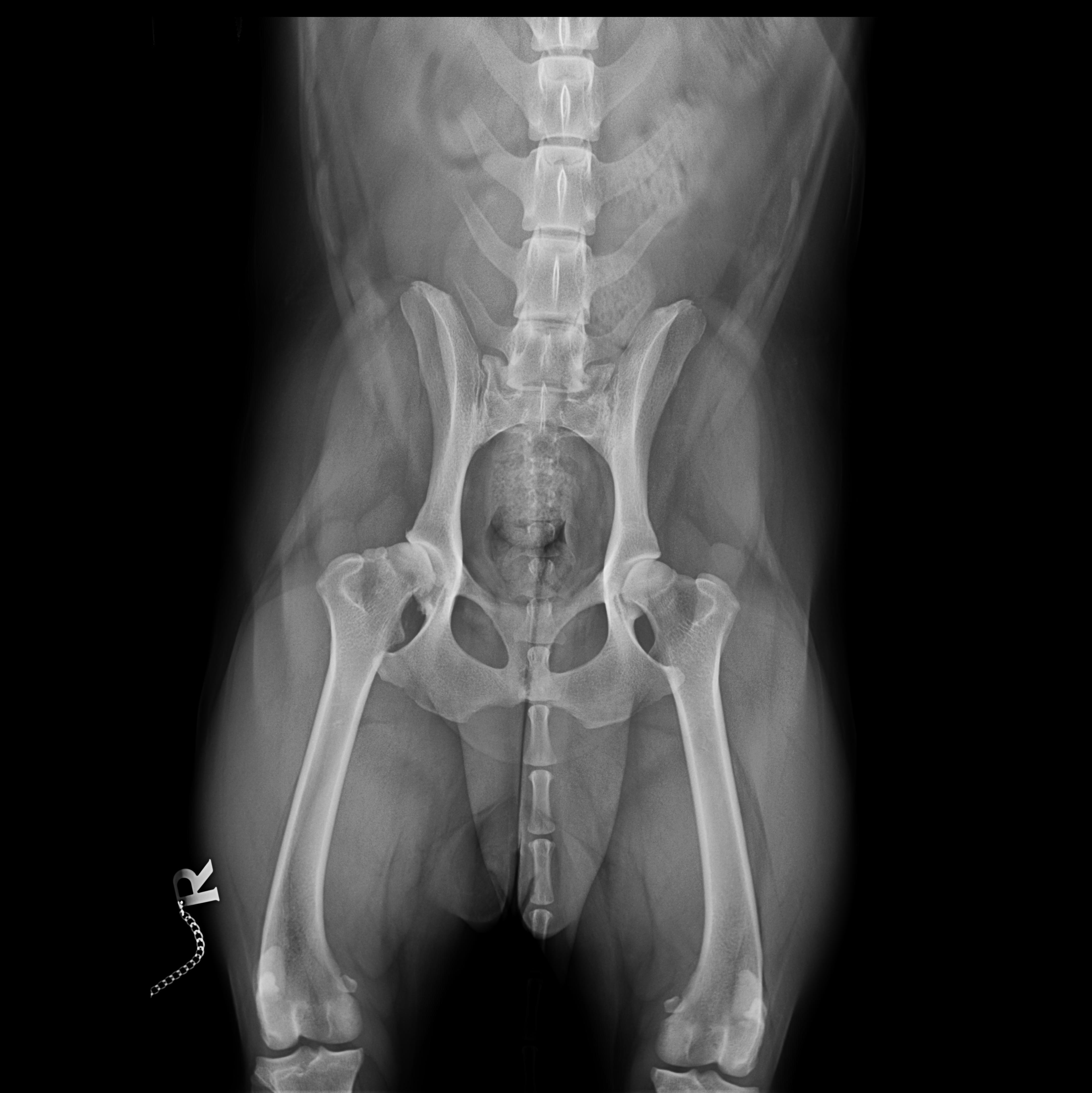
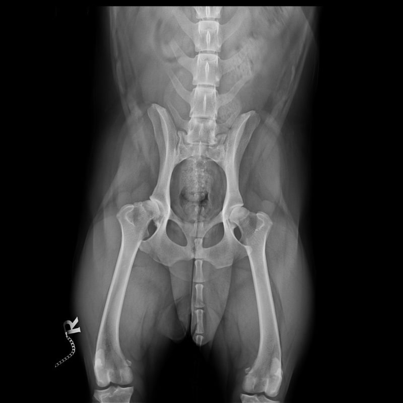
Bei genauerer Untersuchung des gesamten Bewegungsapparates im Gehen, Traben und auch durch Abtasten wurde allerdings schnell klar, dass der rechte Ellbogen nicht Bonnies einziges Problem war. Bonnie ging beim Vorlaufen (Gangbildanalyse) insgesamt recht steif, vorne übermäßig breit, hinten sehr eng und mit der Hinterhand nach rechts versetzt. Die Lahmheit zeigte sich im Trab deutlicher als im Schritt, beim Abtasten reagierte Bonnie druckschmerzhaft am rechten Ellbogen, an einzelnen Zehengelenken vorn beidseits, an den Schultergelenken, der gesamten Wirbelsäule, der rechten Hüfte und geringgradig an beiden Kniegelenken. Alle auffälligen Stellen wurden daraufhin geröntgt. Röntgenologisch fanden wir bei Bonnie, entsprechend der Schwere der Befunde absteigend geordnet: 
 
- Zehengelenksarthrosen vorn beidseits
- Hüftgelenksdysplasie und -arthrosen beidseits                               
- Ellbogengelenksarthrose rechts
- Schultergelenksarthrose rechts    

Die Druckschmerzhaftigkeit beim Abtasten in der gesamten Wirbelsäule und an anderen Gelenken kann durch Überlastung bzw. Muskelverspannungen erklärt werden, die genauso schmerzhaft sein können wie Arthroseschmerzen. Schnell wurde auch den Besitzern klar, dass eine Operation des rechten Ellbogens die gesamte Problematik wohl nicht vollständig würde lösen können. Nun musste überlegt werden, wie man Bonnie am besten helfen konnte.  Ein möglicher Lösungsansatz für Bonnie wäre die dauerhafte Gabe von Schmerzmittel in Kombination mit regelmäßigen physiotherapeutischen Bahandlungen gegen die Muskelverspannungen. Doch ständige Medikamentengabe birgt natürlich auch die Gefahr von Nebenwirkungen, vor allem für Magen und Leber. Daher rieten wir den Besitzern zu einer Goldimplantation.

Die Goldimplantation ist eine Form der Schmerztherapie, die die Möglichkeit bietet, alle Problemzonen in einer Sitzung anzugehen. Es handelt sich hierbei um einen minimalinvasiven operativen Eingriff. Hierbei werden 1 mm dicke und ca. 4 mm lange Golddrähte von außen an die entsprechenden schmerzhaften Gelenke gesetzt - darüber hinaus noch an verschiedene Akupunkturpunkte. Es hat lokal im Gewebe eine entzündungshemmende Wirkung und wirkt auch über die Akupunkturpunkte über Nervenfasern schmerzlindernd. Da reines Gold sich im Organismus biologisch inert verhält, das heißt, vom Organismus nicht als körperfremd erkannt wird, bleibt es reaktionslos, ohne Nebenwirkungen zu erzeugen, an Ort und Stelle liegen. Bonnies Besitzer waren froh, dass es eine Alternative zur dauerhaften Medikamentengabe bzw. künstlichen Gelenkimplantaten gab und entschieden sich für eine Goldimplantation.

Eingriff unter Narkose

Für den Eingriff musste Bonnie in Narkose gelegt und überall, wo implantiert werden sollte, geschoren werden. Nur so kann die Haut steril für den Eingriff vorbereitet werden. Die Narkose bei einer Goldimplantation muss nicht sehr tief sein, da der Eingriff ja minimal-invasiv und nicht sehr schmerzhaft ist; aber es ist wichtig, dass der Hund entspannt liegt. Daher kann der Eingriff auch noch gut bei älteren Tieren vorgenommen werden. Die Implantate werden dann sorgfältig über eine dickere Hohlnadel an die Gelenke und Akupunkturpunkte platziert. Die Einstiche an der Haut sind so klein, dass sie nicht vernäht werden müssen. Implantiert wurden bei Bonnie die arthrotischen Zehen- und Hüftgelenke, der rechte Ellbogen, der lumbosakrale Übergang (hintere Lendenwirbelsäule), Akupunkturpunkte im Rücken, den Ellbogen, Knie, Schultern und Zehen. Ein paar Stunden später, nachdem Bonnie sich ausgeschlafen hatte, begrüßte sie schon wieder schwanzwedelnd ihre Besitzer. Diese mussten die nächsten Tage darauf achten, dass Bonnie sich nicht im Dreck wälzt, stark leckt oder wild tobt. Ansonsten durfte sie ganz normal im moderaten Tempo spazieren gehen.

Nachuntersuchung nach 14 Tagen

Wir haben Bonnie erstmals nach zwei Wochen nachuntersucht. Die Wunden waren gut verheilt und das Fell fing an, nachzuwachsen. Das Gangbild von Bonnie fing an, sich zu verändern. Beim Gehen fiel auf, dass Bonnie den Rücken nicht mehr so steif hielt. Darüber hinaus fing sie an, im Rücken zu schwingen und ging  mit der Hinterhand nicht mehr ganz so eng und nach rechts versetzt. Sie zeigte noch die Lahmheit vorne rechts, wirkte aber laut der Besitzer insgesamt agiler. Über die nächsten Wochen besserte sich Bonnies Zustand weiter, so dass sie bei der Nachuntersuchung nach zwei Monaten keine Lahmheit mehr zeigte. Es war wieder möglich, ohne große Anstrengung lange Spaziergänge mit ihr zu unternehmen. Sie zeigte bessere Ausdauer und fing wieder an, zu spielen.

Bonnies Goldimplantation ist jetzt ziemlich genau ein Jahr her, und ihre Besitzer sagen, dass sie ihre Entscheidung keinen Tag bereut haben. Wir freuen uns, dass wir Bonnie auf diese Weise aus ihrer dauerhaften Schmerzsituation befreien konnten.