​Goldakupunktur – Therapie bei chronischen Schmerzen

Ob Hunde oder auch andere Wirbeltiere: die meisten von ihnen stehen eines Tages vor der Herausforderung einer chronischen Schmerzerkrankung des Bewegungsapparates. Viele Hunderassen tragen schon zuchtbedingt die Anlage für Erkrankungen wie Hüftdysplasie, Ellenbogendysplasie, Wirbelsäulenleiden wie Spondylosen seit dem Welpenalter in sich: es ist nur eine Frage der Zeit, wann diese Erkrankungen sich schmerzhaft äußern.

Je eher diese Anlagen von einem Fachmann erkannt werden, desto größer ist die Chance, dass Operationen vermieden werden können. Sind Operationen unumgänglich, wird die Herausforderung an eine begleitende und nachgelagerte Schmerztherapie häufig umso größer. Wie beim Menschen seit Jahrtausenden bewährt, stellt heute die Akupunktur einen starken Grundpfeiler einer ausgewogenen Schmerztherapie dar. Sie wirkt bei Tieren genauso gut wie beim Menschen, und die Tiere glauben sicher nicht daran, dass es ein hilfreiches Ereignis ist, wenn sie "gepikst" werden. Um den Vierbeinern genau diesen Behandlungsstress zu nehmen, entschlossen sich amerikanische Akupunkteure schon in den Siebziger Jahren, bei chronischen Schmerzpatienten Implantate aus Feingold an Akupunkturpunkte dauerhaft einzusetzen: mit verblüffend guten Ergebnissen. Seit den Neunziger Jahren übernahm eine Handvoll europäischer Spezialisten diese Behandlungsmethode: Goldakupunktur.

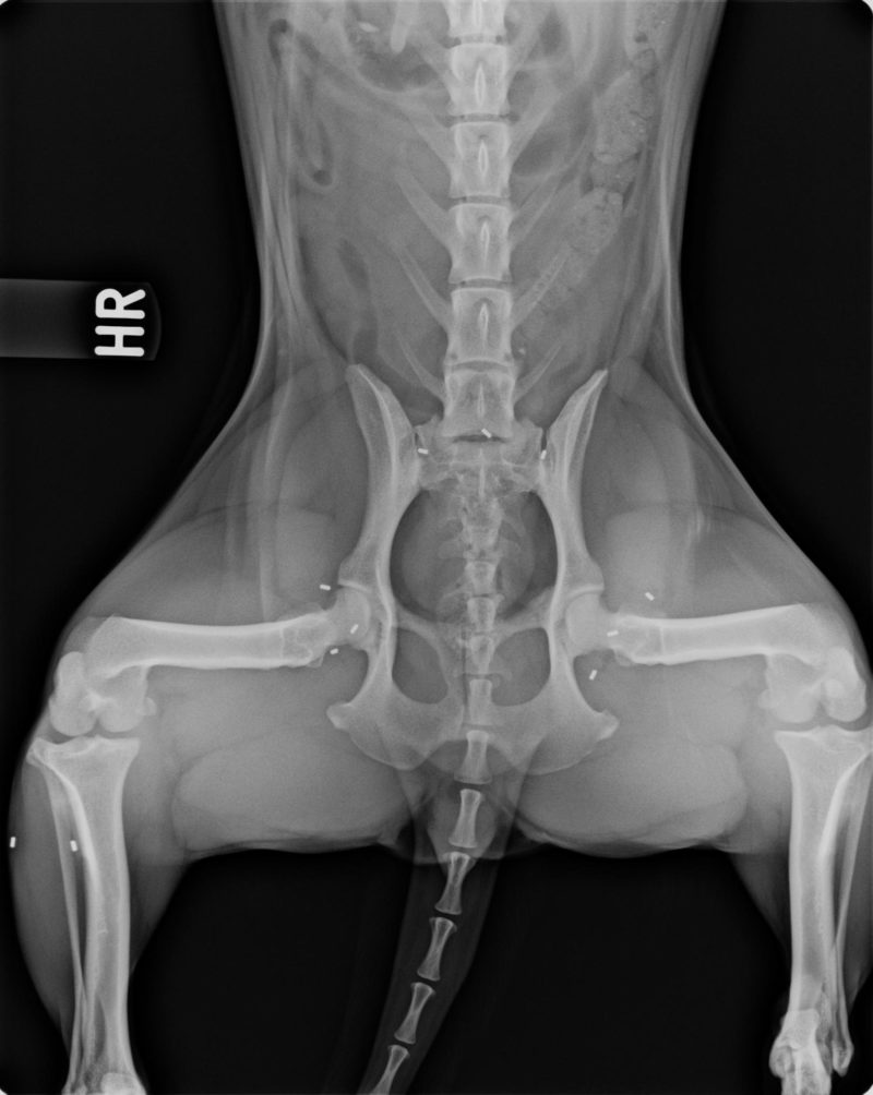
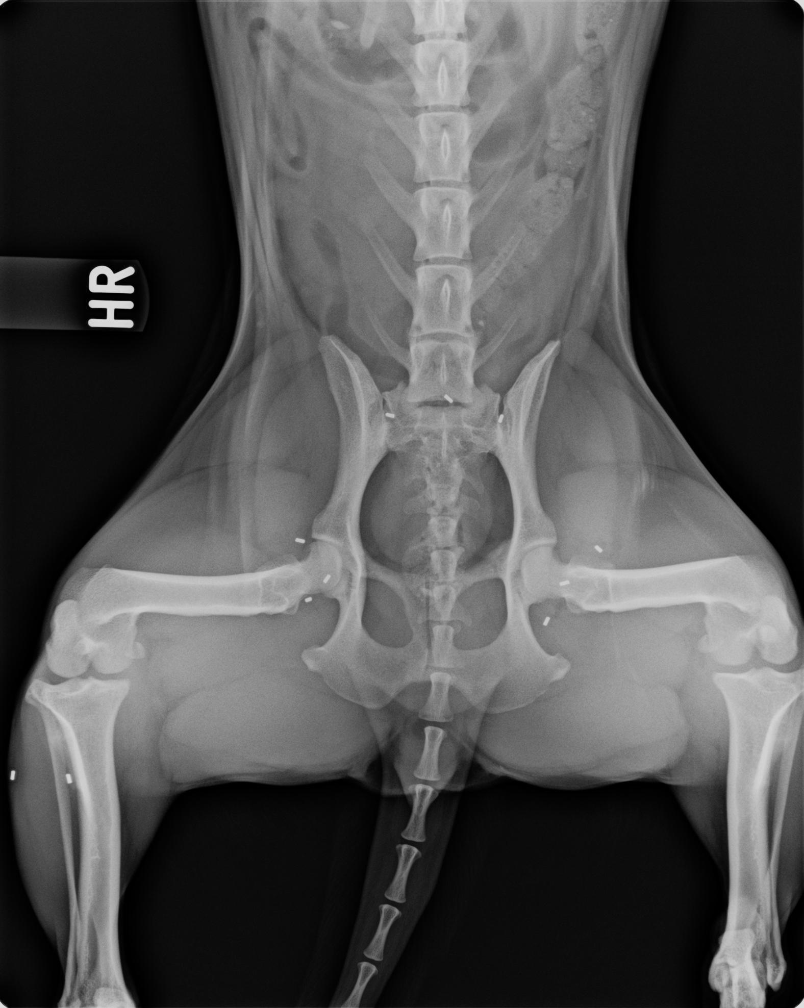
Das „A und O“ jeder Therapie ist die Gewissenhaftigkeit der Diagnostik. Sie fängt bereits bei der Vorberichtserhebung an. Ausführliche Gangbildanalysen und Schmerzpunkt-Untersuchungen sind genauso unerlässlich wie der Einsatz geeigneter, bildgebender Verfahren wie auch bei Bedarf Labordiagnostik. Hier müssen wir entscheiden, ob man Röntgenbilder anfertigt, Ultraschalldiagnostik betreibt, oder sogar CT- oder MRT-Aufnahmen benötigt. Herz und Kreislauf werden auf Narkosefähigkeit geprüft. Sobald man sich vor dem Hintergrund mittlerweile jahrzehntelanger Erfahrung für die Methode der Goldakupunktur entscheidet, kommt das Spezialwissen der Traditionellen Chinesischen Medizin und der Akupunktur auf den Plan. Auf Basis der westlich-wissenschaftlichen Erkenntnisse um Schmerz und Biomechanik auch unter Zuhilfenahme verschiedener z.B. pulsdiagnostischer Verfahren wird der der Akupunktur-Kontext ermittelt. Daraufhin wird ein Implantationsprotokoll. Dieses bezieht auch unter Umständen weitere, bestehende Leiden mit ein, wie z.B. Anfallsleiden, innere Erkrankungen, neurologische Erkrankungen oder Funktionsstörungen wie Inkontinenz.

Häufig wird ein Termin vereinbart, zu welchem nach den vorher durchgeführten Untersuchungen im wachen Zustand, die Diagnostik wie z.B. Röntgen unter Sedation (Leichtnarkose) erfolgt. Zur Vermeidung weiterer, unnötiger Narkosen kann die Behandlung direkt im Anschluss an die Diagnostik durchgeführt werden. Natürlich muss geklärt werden, dass andere therapeutische Optionen nicht Vorrang haben. Die Goldimplantate werden nach sorgfältiger Reinigung der Behandlungsareale entweder durch Hohlnadeln und / oder Injektionstechnik an die Akupunkturpunkte gesetzt. Nach dem Aufwachen spüren die Patienten diese Implantate in der Regel nicht. Begleitende, schmerzhaftere Eingriffe wie Gelenksinjektionen werden unter zeitgleicher, medikamentöser Schmerztherapie und unter antibiotischem Schutz unter ebenso chirurgisch sterilen Bedingungen durchgeführt.

Während der Sedation wurde der Hund infundiert, bei Bedarf intubiert, und die Vitalfunktionen wurden u.a. maschinell kontrolliert. Die anschließende Aufwachphase wird ggf. medikamentös unterstützt, so dass die „Beruhigungsspritze“ nur so lange wirkt, wie es nötig ist. Im Anschluss an die Behandlung werden je nach Bedarf ein Bewegungsprogramm und auch ggfs. ein physiotherapeutisches Begleitkonzept erstellt. Gleichzeitig werden die anfallenden Nachuntersuchungen in der Praxis besprochen oder Rücküberweisungen an überweisende Praxen oder Kliniken verschickt.

Die Goldakupunktur ist wie jede andere Therapieart kein „Alleskönner“! Sie hat sich aber seit Jahrzehnten als Schmerztherapie bei folgenden Krankheiten bewährt: Hüftgelenksdysplasie, Hüftgelenksarthrosen, Arthrosen der Ellenbögen, Schultergelenke, Kniegelenke, Sprunggelenke, Vorderfußwurzelgelenke wie der Zehengelenke, bei Wirbelsäulenleiden bis hin zu neurologischen Begleiterkrankungen wie z.B. auch dem Cauda Equina Compressions Syndrom. Häufig können wir erreichen, dass die meisten Patienten über lange Zeit frei von Schmerzmitteln bei guter Lebensqualität aktiv am Leben teilnehmen können.