​Fit durch Akupunktur und Cranio-Sacral-Therapie statt Kreuzband-OP

Lea, eine siebenjährige Golden Retriever-Schäferhund-Mixdame wird im Dezember 2017 vorgestellt, weil ihr Haustierarzt eine Kreuzband-OP empfohlen hatte, die Leas Frauchen jedoch nicht vornehmen lassen möchte. Auf der Suche nach einer Alternative zur OP fragt Leas Frauchen in unserer Praxis nach den Möglichkeiten einer physiotherapeutischen Behandlung. Sie ist schon bei der telefonischen Erstberatung sehr überrascht, wie viele alternative Möglichkeiten die ganzheitliche Schmerztherapie bietet. Ihr Haustierarzt hingegen ist sehr skeptisch hinsichtlich einer konservativen Behandlung.

Da die Lahmheit bereits seit September besteht, vereinbaren wir zur besseren Beurteilung der Gesamtsituation eine Untersuchung mit anschließender Beratung über die für Lea passenden Optionen. Bei der Erstuntersuchung am 14.12.2017 fällt Leas deutlich aufgezogener Rücken im Stand und in der Bewegung sowie eine deutliche Schiefstellung auf. Das linke Hinterbein wird im Knie steif, aber stabil geführt. Lea läuft stark schwankend mit schleifender linker Hintergliedmaße.

Trotz des langen Fells ist erkennbar, dass Leas linke Kruppe deutlich weniger bemuskelt ist als die rechte. Beim Abtasten zeigt das linke Knie eine erhebliche harte Verdickung, ist aber nicht nicht schmerzhaft und stabil. Bei der Bewegung des Gelenks ist ein deutliches Knirschen zu spüren. Die Triggerpunkte folgender Lokalisationen reagieren beim Abtasten schmerzhaft: beide Knie und Hüften, Lendenwirbelsäule, TLÜ (Übergang Brust-/ Lendenwirbelsäule), hintere Brustwirbelsäule, beide Ellenbogen. Bei der neurologischen Untersuchung ist der Stellreflex hinten links etwas verzögert.

Dies passt gut zum Vorbericht der seit Monaten bestehenden, plötzlich aufgetretenen Lahmheit, die Lea nach Angaben ihres Frauchens mal mehr, mal weniger stark einzuschränken scheint. Ein auffälliges Schwanken im Hinterteil beim Gehen (ein Hinweis auf eine mögliche HD) zeigt Lea schon ihr Leben lang. Neu ist das häufige Hinken seit Monaten, auch wenn sie Schmerzmedikamente bekommt. Zudem schleift Lea seit einigen Tagen zudem mit der linken Hinterpfote über den Boden.

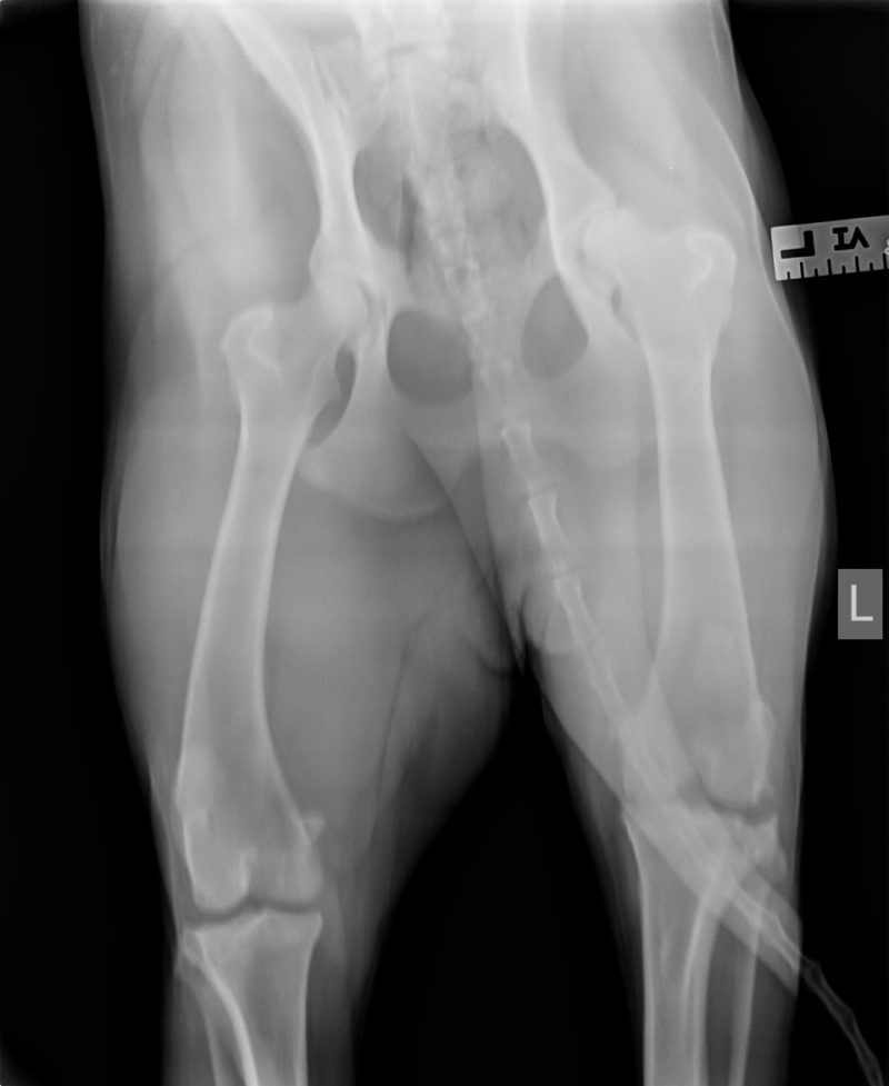
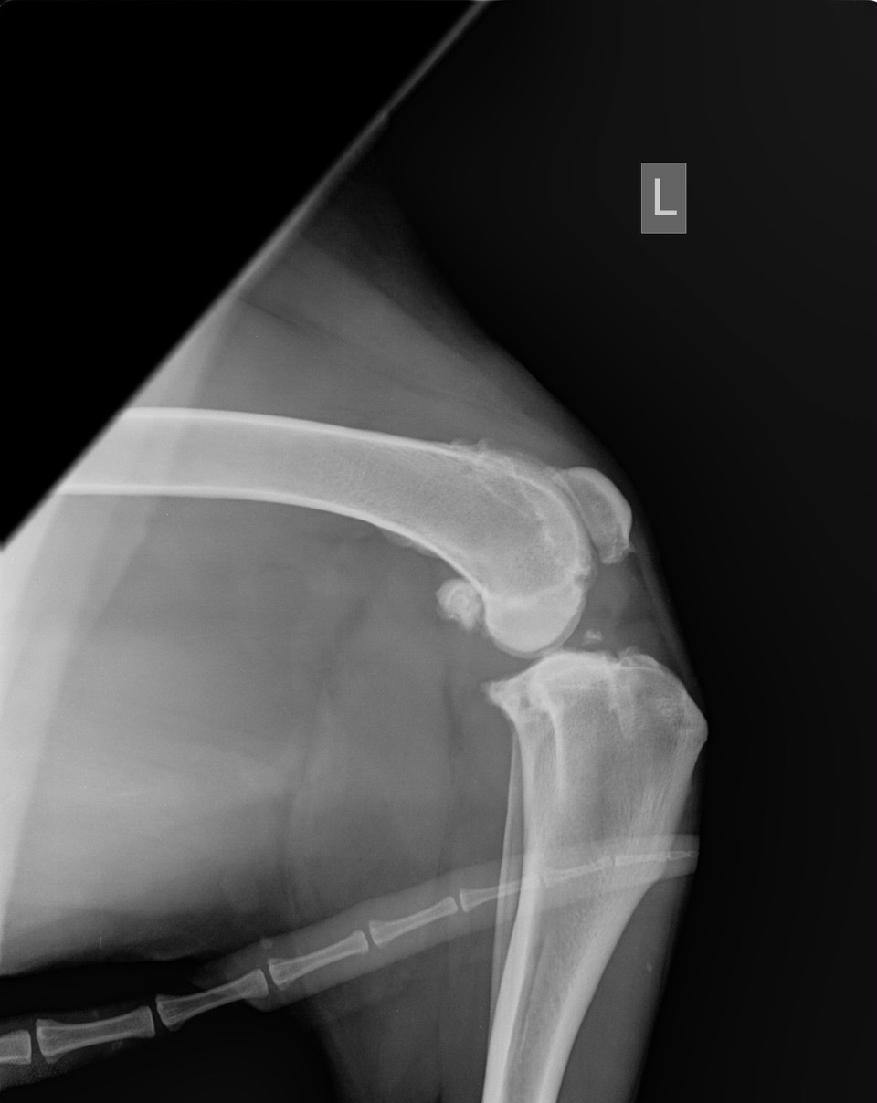
Die Röntgenaufnahmen des Haustierarztes vom linken Knie sowie des Knies und der Hüfte zeigen einen alten Kreuzbandriss (KBR) mit bereits hochgradiger Arthrose des Kniegelenks. Die Knie-Mechanik wird durch die Arthrose vermutlich mehr beeinträchtigt als durch den KBR. Weitere Röntgenbilder liegen nicht vor. Da Lea zudem sehr auffällig in der Wirbelsäule ist, haben wir auch hier Röntgenbilder angefertigt. Auf diesen sind ebenfalls hochgradige Arthrosen sowie ein Bandscheibenvorfall in der hinteren Brustwirbelsäule zu sehen. Das ist wohl momentan Leas hautsächliches Problem. Bei einer Kreuzbandriss-OP mit entsprechender Lagerung und anschließender Schonhaltung wäre die Wirbelsäulen-Problematik möglicherweise noch weiter verschlechtert worden. Das hätte im schlimmsten Fall sogar zu einer vollständigen Lähmung führen können. Zudem sind die mechanischen Beeinträchtigungen im Knie durch die hochgradige Arthrose mit einer Kreuzband-OP nicht aufzulösen. Bei einer Instabilität des Kniegelenks wäre selbstverständlich eine Operation des KBR notwendig. Sofern die Stabilität des Gelenks erhalten ist, können auch durch konservative Behandlungsmethoden oft sehr erfreuliche Ergebnisse erzielt werden. In Leas Fall wäre eine Entfernung der Verkalkungen innerhalb des Gelenks empfehlenswert, sobald sie für eine OP hinreichend stabil ist, da diese „Fremdkörper“ im Gelenk immer wieder Entzündungen auslösen können.

Übrigens: Sehr häufig kommt es bei Hunden mit einer nicht erkannten, bzw. behandelten HD durch den veränderten Bewegungsablauf zu einer Überlastung der Wirbelsäule und Knie sowie oft auch der Ellbogen mit entsprechenden Folgen im Laufe der Jahre. In diesen Fällen ist dann das augenfällige Problem, z.B. der KBR, die Folge der bereits seit langem bestehenden Ursache, z.B. der HD. 

Um wirklich nachhaltig und möglichst schonend helfen zu können, ist es wichtig, auch bei scheinbar klarer Diagnose (in diesem Fall KBR) den ganzen Hund zu untersuchen, um alle Befunde und Ursachen zu ermitteln. Aufgrund der Gesamtsituation (Bandscheibenvorfall, alter KBR, Arthrosen in Knie, Hüfte und Wirbelsäule) haben wir uns mit Leas Frauchen verständigt, zunächst mit einer Kombination von Akupunktur und Cranio-Sacral-Therapie zu behandeln. Je nach Entwicklung können bei Bedarf weitere Alternativen wie eine Goldakupunktur/Goldimplatation und/oder eine Arthroskopie zur Bereinigung der Gelenkflächen im Knie in Betracht gezogen werden. Wichtig ist, dass nicht nur die Wirbelsäule, sondern gleichzeitig auch Knie und Hüfte behandelt werden und somit der gesamte Bewegungsablauf harmonisiert wird. Sobald die Wirbelsäule nicht mehr akut gefährdet ist, soll Physiotherapie für Muskelaufbau und Verbesserung der Beweglichkeit hinzukommen.

Nicht immer, aber bei vielen Erkrankungen können Operationen und ähnlich invasive Eingriffe durch schonendere ganzheitliche Behandlungsmethoden vermieden werden.

Dr. Ina Rheker, Tierärztin & Heilpraktikerin & Hundetrainerin

Zuerst wird Lea zweimal wöchentlich behandelt. Schon nach drei Sitzungen zeigt sich eine deutliche Besserung - die Behandlung wird einmal wöchentlich fortgesetzt. Nach drei Wochen läuft Lea bereits viel stabiler und freudiger, steht zügig auf und begrüßt wieder jeden, der zur Türe hereinkommt. Zu den Behandlungen legt sie sich von alleine freudig in „Therapiestellung“ und genießt ihre Wellnessanwendungen. Die anfangs empfindlichen Triggerpunkte sind inzwischen alle auch beim Abtasten reaktionslos. Jetzt kommt auch die Physiotherapie hinzu. Wir zeigen Leas Frauchen wie sie einige Übungen auch zuhause regelmäßig durchführen kann. Zudem geht Lea auch im Winter leidenschaftlich gerne in der nahen Ostsee schwimmen.

Inzwischen (bisher 10 Sitzungen) wird Lea alle zwei Wochen mit Akupunktur und Cranio- Sacral-Therapie behandelt. Sie kann ihr Frauchen wieder bei ausgedehnten Spaziergängen begleiten und ausgelassen mit ihrer Hundefreundin Anni spielen. Dabei belastet sie auch ihr linkes Hinterbein wieder fast normal und zeigt keine Schmerzen oder neurologischen Befunde wie Schleifen der Pfote. Leas Frauchen und ihr Haustierarzt sind begeistert von den Fortschritten und Leas neuer Lebensfreude, so dass momentan kein Bedarf an einer OP oder weiteren Maßnahmen besteht.

Fazit: Wenn wir uns den gesamten Patienten ansehen und die Vielzahl der verschiedenen Behandlungsmöglichkeiten berücksichtigen, lässt sich für jeden Patienten die individuell zu ihm und den Wünschen seiner Menschen passende Lösung finden. Nicht immer, aber bei vielen Erkrankungen können Operationen und ähnlich invasive Eingriffe durch schonendere ganzheitliche Behandlungsmethoden vermieden werden.

Manchmal ist weniger mehr.